Британські та австралійські вчені заявляють про виявлення скам’янілостей, що датуються 3,4 мільярда років.
Ця найдавніша із знайдених скам’янілостей може допомогти у визначенні часу зародження на планеті клітинного життя і початку виробництва енергії.
Знахідка була зроблена на найстарішому узбережжі в Західній Австралії, яке зараз розташоване в глибині континенту і являє собою насип кварцового піску.
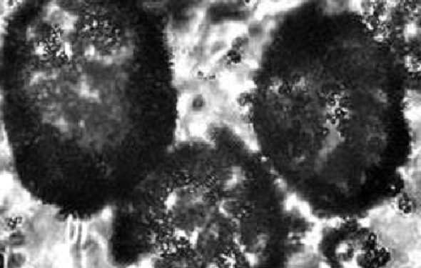
Мікроскопічні сліди найдавнішої бактерії виявлені вченими. Мікроскопічні відбитки є першим доказом того, що клітини і бактерії існували в той час, коли Земля ще не була захищена магнітним полем і не існувало кисню наколо неї.
Професор Мартін Бресьер (Martin Brasier), палеобіолог з оксфордського Університету, говорить, що це підтверджує існування бактерій у безкисневому середовищі і є вагомим аргументом на користь існування на Землі життя більше 3 мільярдів років тому.
«Ця бактерія поширена до цих пір – в гарячих гідротермальних джерелах, в грунті, – скрізь, де є трохи вільного кисню і вона може жити за рахунок органічної речовини», – говорить професор.
Відкриття описано в журналі Nature Geoscience і має найважливіше значення, оскільки з великою часткою ймовірності є аргументом на користь існування позаземних форм життя.




